Ураганът „Дориан“ отслабна до четвърта категория
- Редактор: Петър Симеонов
- Коментари: 0

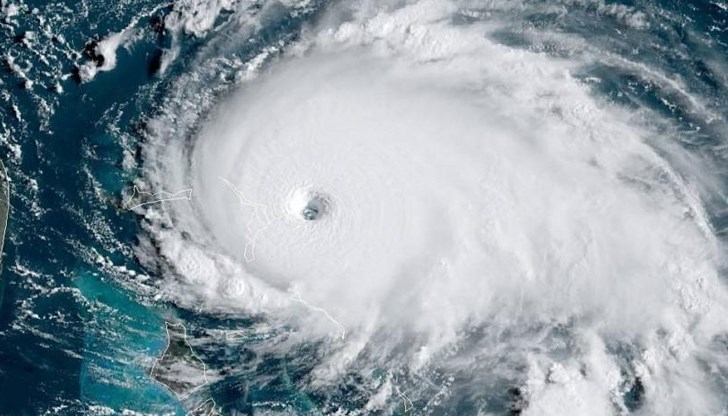
Ураганът “Дориан” отслабна леко в понеделник до четвърта категория, но продължава да заплашва със сериозни поражения, след като удари Бахамските острови с ветрове 250 км/ч, заявиха американски метеоролози, цитирани от AFP.
“”Дориан“ е изключително опасен ураган от четвърта категория по скалата на Сафир-Симпсън“, заявиха от Националният център за урагани, базиран в Маями, в последния си бюлетин в 18 часа българско време.
"Въпреки че се прогнозира постепенно отслабване, се очаква „Дориан“ да остане мощен ураган през следващите няколко дни."





















Разрушени ограничители на централна спирка застрашават...
Ангел Мавровски: Месо от заразени с антракс животни е...
Ивайло Мирчев: Няма да позволим България да гледа на изток
Ивайло Мирчев: Няма да позволим България да гледа на изток
Ивайло Мирчев: Няма да позволим България да гледа на изток