Ураганът „Дориан“ е най-силният заплашвал някога Флорида
- Редактор: Петър Симеонов
- Коментари: 0

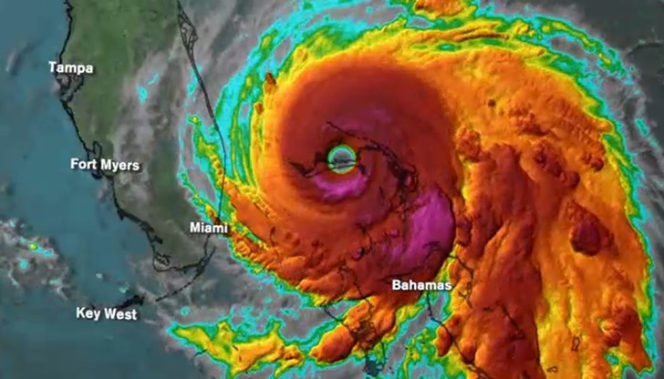
Метеоролозите във Флорида предупредиха в понеделник, че ураганът „Дориан“ - чудовището от категория 5, което продължава да се намира над части от Бахамските острови с пориви на вятъра до 350 км/ч - е най-силната буря, която някога заплашва Източния бряг на щата, съобщава FOX News, цитирани от агенция Фокус.
Бурята се намира на около 190 километра източно от Уест Палм Бийч в 8:00 часа източно американско време (15:00 часа българско време) в понеделник и се счита за непредсказуема, тъй като се движи на запад с около 2 км/ч. Милиони жители на Източното крайбрежие наблюдават следят дали „Дориан“ ще се обърне на север в следващите два дни и ще ги пощадят от пряко преминаване. На Бахамските острови се съобщава, че бурята е довела до смъртта на 8-годишно момче на островите в град Абако.
„Независимо по какъв път тръгва тази буря, щатът ни ще бъде засегнат“, казва Джаред Московиц, директор на отдела за управление на извънредни ситуации във Флорида. "Ще продължим да работим денонощно, за да се подготвим."
Националният център за урагани каза рано в понеделник, че се очаква „Дориан“ да се „движи бавно на запад или на запад-северозапад" през следващия ден или повече, последвано от постепенно завиване към северозапад или север.
"Ако запази настоящият си път изключително опасния ураган „Дориан“ ще продължи да се намира над остров Голям Бахама през по-голямата част от днешния ден и тази вечер", добави той.
"Ураганът ще се придвижи опасно близо до източния бряг на Флорида от тази вечер до сряда вечерта."
Настоящите предупреждения и наблюдения се простират от Дийрфилд Бийч, Флорида, на север до границата със щата Джорджия.





















Разрушени ограничители на централна спирка застрашават...
Ангел Мавровски: Месо от заразени с антракс животни е...
Ивайло Мирчев: Няма да позволим България да гледа на изток
Ивайло Мирчев: Няма да позволим България да гледа на изток
Ивайло Мирчев: Няма да позволим България да гледа на изток