Ново кръстовище ще свърже улица "Изола планина" с булевард "Васил Левски"
- Редактор: Петя Георгиева
- Коментари: 0
При вливането към булевард "Васил Левски" ще бъде разрешен само десен завой, като допълнително ще бъде изграден обръщач
Община Русе сключи договор с фирма ГЕО-ЧОНОВ ООД за изготвяне на проект за изменение на уличната регулация в района между булевард "Васил Левски" и улица "Изола планина". Стойността на проектантската услуга възлиза на 12 360 лева.
Детайли по проекта
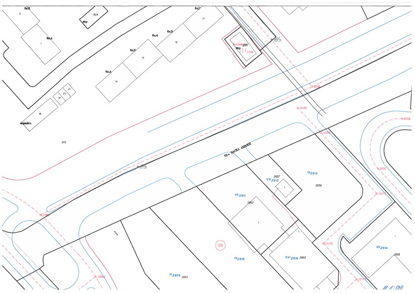
Основната цел на заданието е да се проектира подробен устройствен план за изменение на плана за улична регулация (ПУП - ИПУР) в участъка между улица "Даме Груев" и булевард "Гоце Делчев". Проектът предвижда създаване на ново кръстовище, което ще осигури връзка между улица "Изола планина" и булевард "Васил Левски".
Иновативно решение за безопасност
Общинската администрация предлага иновативно решение за повишаване на пътната безопасност. При вливането към булевард "Васил Левски" ще бъде разрешен само десен завой, като допълнително ще бъде изграден обръщач. Това съоръжение ще позволи на водачите безопасно да извършват маневра за обратен завой.
Технически параметри
Проектът обхваща поземлени имоти с идентификатори 63427.4.2986, 63427.4.352, 63427.4.426, 63427.4.3065, 63427.4.350 и 63427.4.390, разположени между комплекс "Дружба 3" и комплекс "Дружба 1". За тези имоти вече съществува одобрен подробен устройствен план със Заповед № 1378/22.04.2003 година на Кмета на Община Русе.
Теренът представлява предизвикателство за проектантите, тъй като денивелацията между булевард "Гоце Делчев" и улица "Даме Груев" е приблизително 14 метра, с наклон към улица "Даме Груев".


























