Ураганът "Лоренцо" набира сили над Атлантическия океан
- Редактор: Диляна Маринова
- Коментари: 0

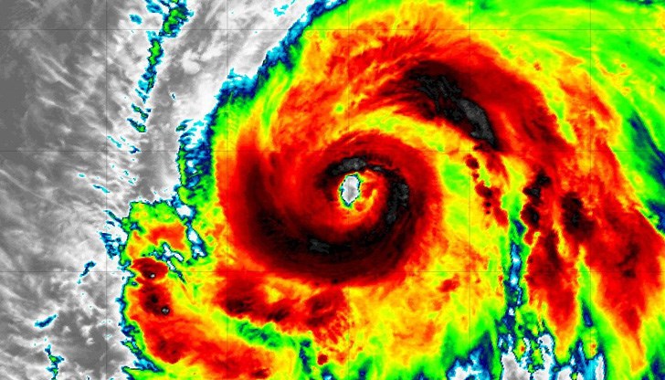
Ураганът "Лоренцо" набира сили над централната част на Атлантическия океан, далеч от населени с хора територии, предаде БТА.
Националният център на САЩ за ураганите съобщи, че бурята е от четвърта категория, а постоянните ветрове достигат скорост от 233 км/ч.
В момента "Лоренцо" се намира на около 2325 км югозападно от Азорските острови и се движи на север с около 16 км/ч.
Засега не са издадени предупреждения, макар че причинени от бурята наводнения засягат североизточното крайбрежие на Южна Америка и Малките Антили.
























Слави Трифонов: Подкрепихме референдума за еврото, за да...
Съдът нареди екооценка за новата асфалтова база в Червена...
Слави Трифонов: Подкрепихме референдума за еврото, за да...
Симеон Николов поведе Локомотив към върха в Русия
12 лева за килограм е цената на живия шаран в Русе