Буреносните ветрове на Дориан достигат 250 километра в час
- Редактор: Петър Симеонов
- Коментари: 0
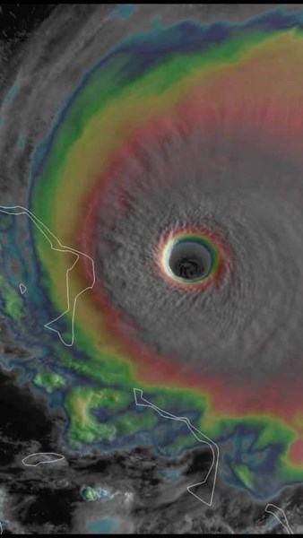
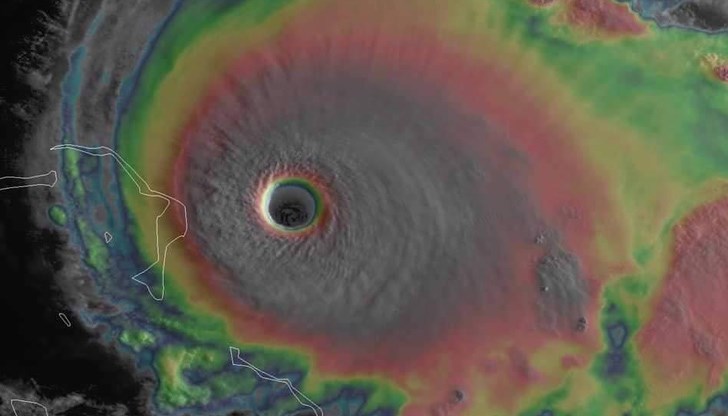
Рядко виждаме такава изключителна сателитна гледка към ураган.
На сателитни снимки Дориан изглежда доста красив ураган, какво става обаче когато го наблюдаваме от земята. Ветровете надминават 250 км/ч.
Дориан вече е ураган от пета категория - най-високата степен по петстепенната скала на Сафир-Симпсън.
Стихията се очаква да удари Флорида в понеделник, а властите в американския щат обмислят да издадат заповед за незабавна евакуация.
В момента на пътя на Дориан се намират Бахамските острови, където туристите се евакуират от хотелите и курортните градчета, а местните жители търсят сигурен подслон. Ураган от пета категория означава, че буреносните ветрове на стихията достигат близо 250 километра в час и са животозастрашаващи и способни на мащабни разрушения.
Американският президент Доналд Тръмп каза пред репортери, че решение дали да се нареди евакуация на Източното крайбрежие на САЩ ще бъде взето по-късно в неделя.
Окръг Бревард, който е на брега близо до Орландо, обяви, че в понеделник ще призове хората да потърсят сигурен подслон. Летището в Орландо ще затвори от 2 часа сутринта местно време в понеделник, като властите заявяват, че са предприели този ход „като предпазна мярка“.



























Съдът на ЕС: Няма решение за спиране на еврото в България
Съдът на ЕС: Няма решение за спиране на еврото в България
Започна монтажът на първите подземни контейнери в Русе
Премахват атракционните влакчета от центъра на Русе
Започна монтажът на първите подземни контейнери в Русе