Болавен се превърна в чудовищен ураган от категория 5
- Редактор: Петър Симеонов
- Коментари: 1

Поривите на вятъра достигат до 345 километра в час
Болавен се превърна в чудовищен ураган от категория 5 в момента в западните части на Тихия океан, като поривите на вятъра достигат до 345 километра в час. Това го прави втората най-силна буря на планетата тази година. Въпреки, че в момента е на повече от 3200 километра североизточно от Филипините, той продължава да представлява голяма заплаха както за корабите, така и за самолетите, пресичащи северната и западната част на Тихия океан, пише Meteo Balkans.

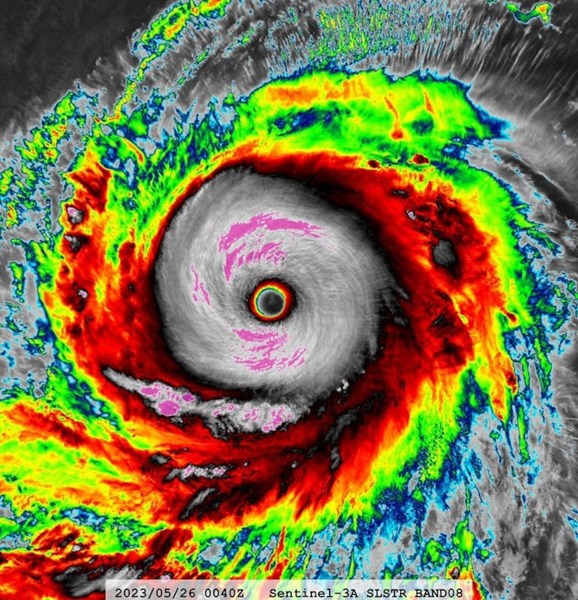
Симулация на вятъра. Виждаме, че SPM модела успешно прогнозира пориви на вятъра от над 300 км. в час.
Това, което обаче изненада учените, беше безпрецедентното усилване, наблюдавано при тайфуна. Само за 24 часа. Бурята премина от ураган от категория 1 до ураган от категория 2, с ветрове достигащи 145 километра в час, само за 12 часа. Като малко по-късно, той се превърна в ураган от категория 5 с ветрове, достигащи 257 километра в час и пориви от 345 километра в час. Това се доближава до подобряване на световния рекорд, който все още се държи от урагана Патриша през 2015 г.

Според синоптиците, ураганът Болавен ще остане в същата категория през следващите 24 часа, докато се очаква да се насочи на североизток към северната част на Тихия океан, без да заплашва сушата, и постепенно ще отслабне, когато се сблъска с по-хладните води. Това ще доведе до значително отслабване на ветровете в рамките на следващите 2 до 5 дни.























Докладвай този коментар за нередност
×...: Да влезе у Вашингтона и да отнесе на старческия дом, пардон на белия дом купола и сикрет сървиз да го зида, маже и боядисва наново. Щот ако наемат мексиканци, Ел Чапо ще нахлуе от някоя дупка отдоле при Бидон и ще го начука на баба му пред него и на изпроводяк ще им натика по една голяма буца кристал в човките ептен да изкукурендясат. Хахахаххахахаба.